Zur Navigation Zum Inhalt

Informationen rund um die Baustelle am Europaplatz

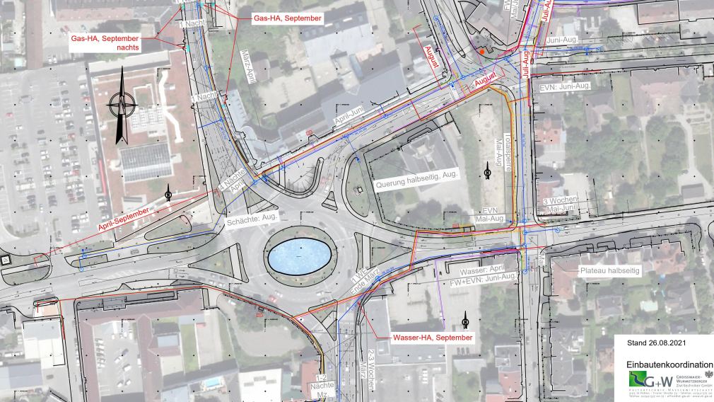
Grafische Darstellung des Bauzeitplans für 2021 von Groissmaier & Wurmetzberger sowie Zieritz + Partner
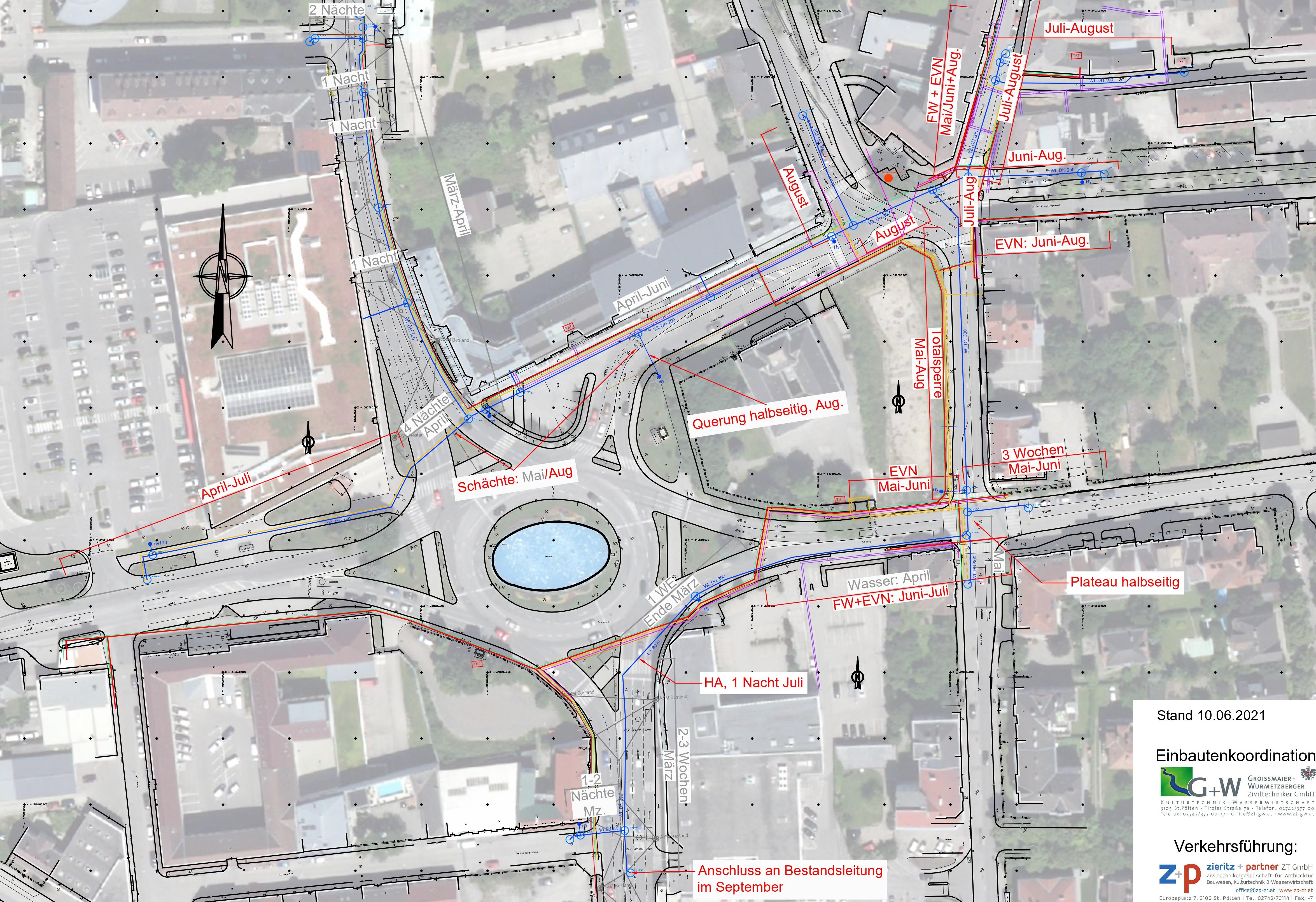
Grafische Darstellung des Bauzeitplans für 2021 von Groissmaier & Wurmetzberger sowie Zieritz + Partner

Informationen zur Verkehrsführung und Umleitungen werden hier in Kürze ergänzt

Gesamtbauzeit

2021 Einbautenerneuerung: Baustart 15. März 2021

Kanal, Wasserleitung, Fernwärme, Hochspannung, Niederspannung, Gasleitung, Gasleitung Mitteldruck, A1 Telekom, Kabelplus, Straßenbeleuchtung, insgesamt werden etwa 9.500 Meter Leitungen neu verlegt.

2022 Kreuzungsumbau

2023 Kreuzungsumbau Nebenflächen

Detailzeitplan

Phase 1 Einbautenerneuerung Landesstraßen (15. März – Mai)

Phase 2 Einbautenerneuerung Gemeindestraßen (Mai – September)

Phase 3 Kreuzungsumbau 2022

Phase 4 Kreuzungsumbau 2022

Phase 5 Kreuzungsumbau und Gestaltung der Nebenflächen 2023

Grafischer Bauzeitplan (Stand 14.06.2021)

 

Update: (Stand 02.09.2021)

Ab 6. September finden dann noch folgende Arbeiten statt:

  • Hausanschluss Sicherheitsakademie: Sperre des Rechtsabbiegstreifens von der B20 in den Schulring für ca. 3 Tage
  • anschließend Abtrennung / Einbindung Hauptleitung in der B20 Höhe Betten Reiter: hier wird es wie im März zu einer Reduktion der B20 auf jeweils eine Spur nach Norden und eine Spur nach Süden kommen. Diese Arbeiten sollten bis 17. September abgeschlossen sein.
  • Gas-Hausanschlüsse am Schießstattring: Sperre der rechten Fahrspur nach Norden, sodass nach Norden nur eine Fahrspur benutzbar ist
  • Gas-Hausanschlüsse in der Alte Reichstraße Kreuzung Lagerhausgasse: keine wesentliche Verkehrsbeeinträchtigung.
  • Nach diesen Arbeiten kann die Einbindegrube bei der Einfahrt XXXLutz zugemacht werden.

Vorraussichtliches Ende der Baustelle: 17. September 2021

Update: (Stand 14.06.2021)

  • Ab Montag den 21. Juni wird die Dr. Karl Renner-Promenade gesperrt: Beginn der 2. Bauphase 
  • Ab Montag den 5. Juli (Ferienbeginn) wird die Linzerstraße und die Schneckgasse gesperrt
  • Ab August wird das gesamte Linzertor inkl. Julius Raab-Promenade gesperrt
  • Mit Schulbeginn sind die Bauarbeiten beendet und die Sperrungen wieder aufgehoben

Anmerkung: Die Sperrung betrifft den Bereich zwischen Linzer Straße und Schulgasse. Die Zufahrt bleibt für Anrainer weiterhin möglich. 

Update: (Stand 11.05.2021)

 

Bisheriger Baufortschritt

  • Die Arbeiten der Leitungsverlegung am Schießstattring und in der Mariazellerstraße wurden mit Ende April abgeschlossen.
  • Die Arbeiten am Schulring werden seit Anfang Mai wieder fortgesetzt.
  • Die Leitungstrasse im Norden des Europaplatzes liegt ca. 4 Wochen vor dem Zeitplan, weil wir entgegen der Erwartung keine archäologischen Funde hatten und steht nun schon beim Linzertor.

 

Nächsten Schritte 

  • Im Schießstattring Höhe XXXLutz wird im Mai ein neuer Kanalschacht errichtet, hier wird es für ca. 3 Tage wieder zu einer Reduktion der Fahrspuren kommen.
  • Die Josefstraße ist derzeit vom Schulring Richtung Süden gesperrt, von Süden kommend ist sie derzeit noch offen. Ab ca. 10.5. wird auch die Richtung von Süden gesperrt.
  • Ab Montag 17.5. wird die Ampelanlage Schulring Josefstraße umgebaut. Hierfür wird zusätzlich noch die Nordseite der Josefstraße gesperrt und die Ampel ist auch für mehrere tage außer Betrieb. Verkehr fließt in dieser Zeit nur auf der B1 Schulring, die Josefstraße ist Richtung Norden und Süden gesperrt.
  • Von 17. - 21.5. werden in Nachtarbeit die Querungen über den Schulring hergestellt, während der Nachstunden ist somit das ganze Kreuzungsplateu gesperrt. Umleitungen sind über die Kranzbichlerstraße und Jahnstraße bzw. über die Dr. Karl Renner-Promenade eingerichtet.
  • Ab voraussichtlich Fr. 21.5. ist die Ampel wieder in Betrieb und die Josefstraße Richtung Süden wieder offen.
  • Die Josefstraße Richtung Norden bleibt bis Ende August gesperrt.  

Update: (Stand 07.04.2021)

  • Bereich Mariazellerstraße und teilweise Schulring wurde schneller fertig als geplant, daher
  • Vorgezogener Beginn Europaplatz Nord / Linzerstraße um ca. 2-3 Wochen
  • vorgezogener Bau Bereich XXX-Lutz (bereits Juli-August)

Archäologie

Im Norden und Nordwesten des Europaplatzes kann es im Bereich der alten Römerstraße zu archäologischen Funden kommen. Am Straßenrand dieser alten Straße wird mit Grabstätten aus dieser Zeit gerechnet. Am Linzertor werden voraussichtlich die Reste der alten Festungsbastion zu finden sein. In der Linzerstraße werden im Zuge der Grabungsarbeiten die Überreste der alten Stadtmauer sowie mittelalterliche Straßenreste freigelegt.

Infohotline zur Verkehrsführung Europaplatz

Zieritz + Partner
Kontakt: 02742/731140